Catastrophic Category 5 Hurricane Iota will make landfall near the Nicaragua/Honduras border on Monday night.  Iota will likely bring catastrophic rains of 8-16 inches, with isolated amounts of 20-30 inches, to portions of Central American still recovering from devastating Hurricane Eta, which hit the same area of Nicaragua as a category 4 storm with 140 mph winds on November 3.
Iota will likely landfall within 50 miles of where Hurricane Eta slammed Nicaragua.  There is no historical precedent for two Atlantic hurricanes of at least category 4 strength hitting the same location only two weeks apart.  That this may occur in November, when major hurricanes are rare, is extraordinary.  The closest analog may be in September 2017, when Hurricane Irma and Hurricane Maria, both at category 5 strength, affected the Virgin Islands two weeks apart.  However Maria did not make a direct landfall in the VI, passing about 75 miles ot the southwest of Irma's path.

Freelance journalist Jeff Ernst, based in Honduras is covering the storms and their aftermath on the ground has expressed his concerns that Honduras is not prepared for another megastorm like Iota. "
I'm worried that many levees have been destroyed, dams are at capacity, and there is still a lot of standing water that's up to the rooftops in spots," he wrote.  "
I would think because of those factors it would take less water than during hurricane Eta to do as much more damage—though Iota will flood some of the places that are already destroyed."  
Preliminary damage estimates for Eta are as high as $5 billion—over 20% of Honduras' GDP, and those are "insured" estimates.  Most properties in Honduras and Nicaragua do not have insurance like what one would typically find in the USA.  Read Jeff Ernst's The Guardian feature at this link:  
Scientists link record-breaking hurricane season to climate crisis. 
    
    
  Strongest Storm of the Season
Hurricane Iota will slam into Central America as the Atlantic's strongest storm of the year.  Iota's winds have held at 160 miles per hour (257 km/hr) today, making it a Category 5 storm—the strongest of the five-stage Saffir Simpson scale, according to the National Hurricane Center.  A hurricane as powerful as Iota can crush homes, snap trees and make areas uninhabitable for months.
      
    
    30th Named Storm of 2020
Iota is the 30th named storm in the Atlantic this year, a record.  They hyperactive hurricane season is part of a string of natural disasters in 2020, including deadly wildfires in the western USA and a derecho that left wreckage from Iowa to Indiana.  These events are further evidence that the Earth's climate is changing, threatening to bring more widespread devastation.
  
This is the first time the Atlantic has produced two major hurricanes—category 3 or stronger—in November, according to a tweet by Phil Klotzbach, lead author of the Colorado State University seasonal forecast.  Iota is the first storm to reach category 5 strength so late in the year, as well.
Iota could create additional problems for coffee and sugar crops in the region, which were drenched by heavy rains and flooding from Eta two weeks ago.  Honduras is the top coffee grower in the region, followed by Guatemala, which is the biggest cane sugar exporter in the area and a key supplier of the sweetener in the world.
Iota pummels Colombia's Providencia Island
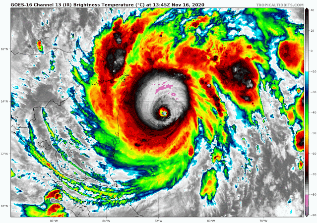
Between 4 and 6 am Monday morning, November 16, 2020, the southern eyewall of Iota passed over Colombia's Providencia Island.  An Air Force Reserve Hurricane Hunter aircraft about two hours later measured sustained category 5 winds of 160 mph in the southern eyewall of Iota, but these winds may have been just north of the island.  Wind damage on Providencia was likely devastating, possibly catastrophic, and definitely more severe than anything 17th century pirate Captain Morgan could have ever imagined.
"This is a humanitarian disaster in the making" Kottlowski said.
Just how strong is category 5 Hurricane Iota?  Its current central pressure of 917 mb is lower than Hurricane Katrina's central pressure at the time of its strongest Gulf Coast landfall (Buras, LA.  920 mb)(.  Lower pressure = stronger storm.
Thousands have evacuated in Honduras and Nicaragua, and Guatemala is preparing emergency food kits.  The storm will devastate the coastal areas with high winds and deadly storm surge before wringing out flooding rains across the mountains of Central America for the next four days.
Will there be a 31st Storm of 2020?
The National Hurricane Center is reporting there is a 30% chance of yet another storm developing in the Caribbean off of Central America in the next five days.  If it does form the storm will be named "Kappa."
Recent runs of the GFS and European model have been consistently predicting that an area of low pressure capable of developing into a tropical storm will form late this week over the southwestern Caribbean Sea, off the coast of Costa Rica. Conditions for development will be favorable, with moderate wind shear of 10 – 20 knots, warm sea surface temperatures of 29 degrees Celsius (84°F), and a moist atmosphere. Steering currents favor a westerly to west-southwesterly motion at 5-10 mph, putting Costa Rica and southern Nicaragua at greatest risk of experiencing a landfall.
  | 
| Predicted surface wind speed in knots (colors) and wind direction (grey lines) at 7 p.m. EST Friday, November 20, from the 7 a.m. (12Z) Monday, November 16, run of the GFS model. The model predicted Tropical Storm Kappa would be approaching landfall near the Nicaragua/Costa Rica border as a tropical storm with 55-60 knot (60-65 mph) winds. | 
If Kappa does form as the GFS model has been predicting, the storm is unlikely to have sufficient time over water to develop into a hurricane, and it would be a relatively small tropical storm. However, Kappa would be a significant heavy rain threat for southern Nicaragua, Costa Rica, and Panama, with 5-10 inches of rain possible Friday through Sunday. As of Monday afternoon EST, it does not appear that this potential future storm would be a heavy rain threat for the areas of northern Nicaragua and Honduras facing devastation from by Hurricane Iota, although broader easterly flow across the region may continue to keep intermittent rains over the Iota-affected region for a number of days.
  | 
| Predicted six-day rainfall ending at 7 p.m. EST Friday, November 20, from the 7 p.m. EST Saturday, November 14, run of the GFS model. The model predicted that Iota would dump widespread rainfall amounts in excess of five inches (orange colors) to portions of the Caribbean, with over 20 inches (pink colors) falling in northern Honduras, Guatemala, and Nicaragua. | 
In a 1 p.m. EST Monday tropical weather outlook, NHC gave 2-day and 5-days odds of development of 0% and 40%, respectively, to this future disturbance. Given the way the 2020 Atlantic hurricane season has unfolded, the 5-day odds should probably be hiked up to 60%, 
according to Jeff Masters' Eye on the Storm blog. 
 
No comments:
Post a Comment